Nie wieder Haustiere!!
Was ist das?

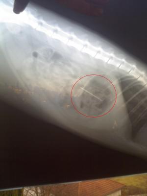
Ein Röntgenbild von ihrer Katze, kurz nachdem diese eine Nadel verschluckt hat, blödes Tier.
Am selben Tag noch zum Tierarzt, Bauch aufschneiden, Magen öffnen (zum Glück nur leicht) und Nadel wieder raus.
Jetzt ist es nur noch ein Häufchen Elend, das arme Tier.

Ein Röntgenbild von ihrer Katze, kurz nachdem diese eine Nadel verschluckt hat, blödes Tier.
Am selben Tag noch zum Tierarzt, Bauch aufschneiden, Magen öffnen (zum Glück nur leicht) und Nadel wieder raus.
Jetzt ist es nur noch ein Häufchen Elend, das arme Tier.
BlueDevil - 13. Feb, 18:32
